Woonhuizen en zorgwoningen, Vleuterweide 1
Hardenbroek, Leersumse Veld, De Ruiterberg, Utrecht
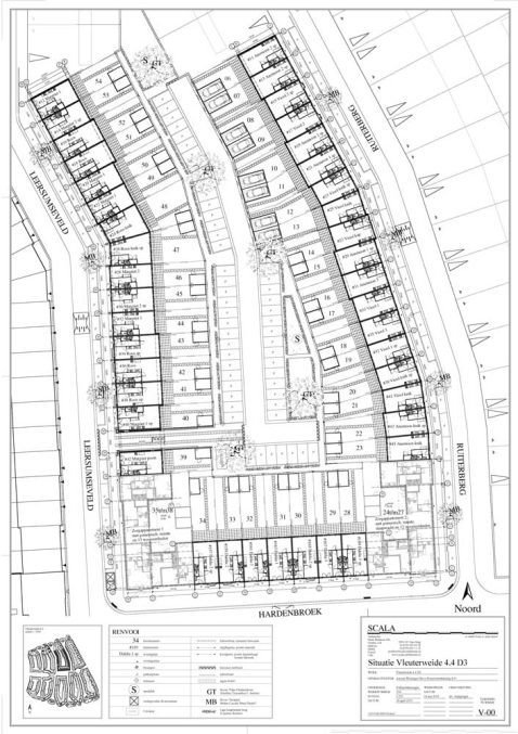
Op basis van het masterplan van Krier-Kohl werd door een groep geselecteerde architecten in een aantal workshops een gemeenschappelijke uitwerking gemaakt voor de gefaseerde uitvoering. Scala heeft voor drie opdrachtgevers woningontwerpen gemaakt in een uiteenlopende differentiatie: van sociale huurappartementen tot duurdere koopwoningen, gezinswoningen, begeleide kamerbewoning en psycho-geriatrische ouderenzorg.
Voor Amvest maakten wij een ontwerp voor hurwoningen in de vrije sector. De huurwoningen liggen het pleintje van dit deelgebied en aan 2 zijstraten. Op de hoeken zijn 2 zorgwoning gerealiseerd, met in ieder huis 13 appartementen voor begeleide bewoning.
Legenda
- ontwerp: SCALA Mieke Bosse, Peter Drijver, Katrin Jentson, Fiena Guo, Carolien Zegers
- opdrachtgever: Amvest
- uitvoering: Variant, HSB
















